Typhoons and downpours clog China’s logistics flows and port traffic
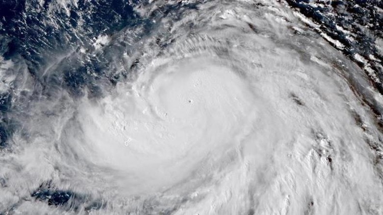
Ports and carriers are keeping an close eye on the direction of Typhoon Kanu
Torrential rains and flooding have swept through the capital Beijing and surrounding regions, while key port cities in the lower part of the country are preparing for another impact
EXTREME weather and natural disasters are hurting logistics flows in China and exacerbating congestion at its ports.
The effects of Super Typhoon Doksuri, which made landfall in Fujian province last week, are still being felt. Torrential rains and flooding have swept through the capital Beijing as well as surrounding Hebei province and the nearby port city of Tianjin.
Further north, Harbin announced school and construction site closures, as well as traffic restrictions, from August 2-3 in certain districts.
The industrial city of Harbin, located further north, has announced the closure of schools, construction sites and wharfs among other facilities in certain districts on August 2-3, while also implementing traffic control measures.
“The heavy rainfall and flooding may lead to labor shortages and reduced productivity, impacting cargo handling, customs clearance and overall supply chain operations,” said Container xChange.
Meanwhile, another typhoon is approaching the eastern coast of China.
Some important ports, such as Ningbo, have already started preparing for the arrival of Typhoon Kanu, although it may linger in the East China Sea for a while before turning towards Japan or South Korea, according to a weather forecast.
A Chinese shipping agent said some ships in northern Chinese ports had stopped sailing southward until the direction of the typhoon becomes clear.
“Typhoons in China [have] continued to affect vessel operations, with a third typhoon due in as many weeks pushing up congestion across all Chinese port regions,” said Linerlytica in a report this week.
“The congestion situation is expected to remain elevated over the coming weeks as the western Pacific enters peak typhoon season in the next two months,” it added.
US carrier Matson said in a customer advisory that it would cancel the calls of two boxships — Kaimana Hila (IMO: 9719068) and Matson Molokai (IMO: 9338084) — at Ningbo port to minimise the impact of Kanu on its China-Long Beach Express services.
Carriers serving China’s coastal routes, such as Shanghai Panasia Shipping and Zhonggu Logistics, have also warned shippers that the storm may affect related routes passing through Zhejiang, Shanghai, and Jiangsu, resulting in schedule delays.
“The incident may potentially affect trade routes in the region, with shipping lines considering rerouting vessels to avoid affected areas. This could lead to adjustments in shipping schedules and transit times,” Container xChange said.

